Gå til hovedindhold
Nyheder

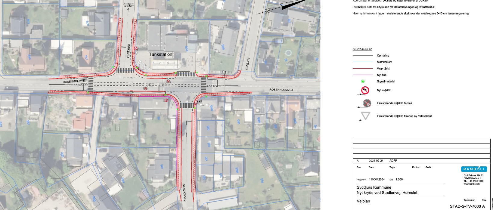
Hornslet: Krydsombygning Rosenholmvej / Stadionvej / Birkevej

Vejarbejde i Hornslet: Arbejdet går i gang i begyndelsen af april 2025 og forventes færdigt før skolestart i august.

17. mar. 2025

Indhold

    Vejarbejde i Hornslet: Krydsombygning Rosenholmvej / Stadionvej / Birkevej. 

    Opdatering 7. april: Fra tirsdag den 8. april vil vi henvise cyklister til at anvende Bøgevej og Egevej og fra Rosenholmvej anvende Alpevej og Rosenvangen under vejarbejdet på Birkevej. Der opsættes skilte
    Arbejdet indledes i begyndelsen af april 2025.

    Vi etablerer signalanlæg i forbindelse med skolebyggeriet i Hornslet. Krydsombygningen til signalanlæg vil inddrage Birkevej.

    Der etableres delt cykelsti og fortov på begge sider af Birkevej. Cykelsti og fortov anlægges fra Rosenholmvej ned ad Birkevej til Bøgevej.

    Desuden bliver der etableret delt fortov og cykelsti på Stadionvej fra Rosenholmvej til adgang til Hornslet hallen.
    Anlægsarbejdet opstarter primo april 2025 og afsluttes primo august 2025 inden skolestart den 9. august.
    Vejene forventes åbne for trafik i hele perioden.

    Vi håber på jeres forståelse og tålmodighed.